
В Одессе реконструируют опасный перекресток (Фото)
Городской голова Алексей Костусев дал поручение разработать вариант дорожной развязки на пересечении улиц Вильямса и Королева, которая позволит снизить аварийность данного перекрестка и будет более удобна для одесситов.
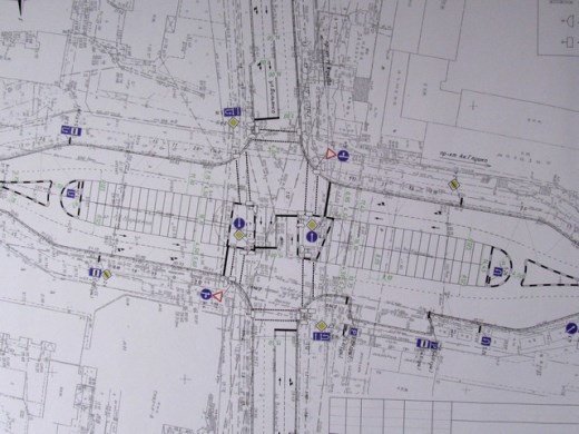
В настоящее время на этом перекрестке организовано круговое движение без светофорного регулирования. Согласно данным департамента транспорта, связи и организации дорожного движения, этот участок улично-дорожной сети является местом концентрации дорожно-транспортных происшествий.
Исключение кругового движения и установка светофорного регулирования поможет увеличить безопасность дорожного движения на указанном перекрёстке, сообщили в службе информации мэрии.

В этом году начнем реконструкцию перекрестка на улице Королева угол улицы Вильямса. Там появится светофорный объект и, таким образом, движение транспорта будет организовано гораздо лучше.
«По поручению мэра была выполнена схема, согласно которой предполагается прорезание круга на улице Королева и обустройство до 4-х полос для автомобильного движения - каждая шириной по 3,75 метра. Таким образом, мы концептуально меняем всю организацию дорожного движения на этой площади. Работы будем проводить поэтапно: в этом году будут сделаны прорезка и организация дорожного движения, а в следующем году эту площадь мы отремонтируем капитально», - отметил начальник управления дорожного хозяйства Сергей Подгайный.

Для тех автолюбителей, кто двигается по Вильямса в сторону Ильфа и Петрова и в обратном направлении, проезд будет организован прямо, ранее движение было организовано по кругу. Новая схема обеспечит безопасный проезд перекрёстка автомобилями и переход пешеходами. Кроме того, проектом предусмотрена возможность организации мест отстоя маршрутного транспорта общего пользования, что сохранит существующую пешеходную доступность для пассажиров.
«В этом году начнем реконструкцию перекрестка на улице Королева угол улицы Вильямса. Там появится светофорный объект и, таким образом, движение транспорта будет организовано гораздо лучше. Кроме того, мы благоустроим прилегающую территорию. Сейчас там много «будок», со временем их станет меньше, а зеленые зоны мы приведем в порядок», - сказал Алексей Костусев.


Коментарі